Land with Full PP for 2 dwellings, Adj. 51 The Poplars, PE11 2RJ
Key Features
- Situated on Cowbit Road – land with Full PP for 2 dwellings
- Overlooking the River Welland
Description
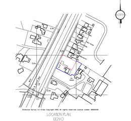
LAND The land extends to approximately 825m². The area offered for sale is part of the areas shown edged with a thick red line on the determined Planning Application plan included in these Particulars (for identification purposes only). The Plots are broadly rectangular in shape and have a frontage of 20m, widening to approx. 23m and have a maximum depth of 38m.
At the present time the property comprises part of the garden to the Vendors' adjacent residential property. New accesses will be required to be formed to Cowbit Road to serve the plots.
NOTES
- Rights for services to the Vendors' retained land are reserved.
- The purchaser will be responsible for the costs of removal of any remaining trees/stumps on the plot.
- No impact driven Piling - Trench Fill, Raft or Mini Augured permitted.
- Plant used onsite to be a maximum of 6 Tonnes.
- Any amendment or new application must be fully approved by the Vendor prior to any Planning application being submitted.
PLANNING CONSIDERATIONS
Full Planning Consent was granted by South Holland District Council - Reference No:H16-1026-24 on 31 January 2025, showing the land developed for 2 No. 3 bedroom detached houses. A copy of the formal Planning Consent is available from the Council's website - - or is available from the Agent's Spalding Office. Included in these Particulars is a copy of the plans determined by the Planning Application which show the designs of the properties.
NB : The purchaser will be responsible for compliance with all Planning Conditions, and for all costs associated thereto.
Any queries in respect of Planning matters should be addressed direct to South Holland District Council - Planning Department - CALL: EMAIL:
TENURE Freehold with vacant possession.
SERVICES Mains electricity, gas, drainage and water are available in the locality. However, proposed purchasers must check the availability by making their own enquiries with the relevant Utility providers.
LOCAL AUTHORITIES
District & Planning: South Holland District Council, Priory Road, Spalding, Lincs. PE11 2XE
CALL:
Water & Sewerage: Anglian Water Customer Services, PO Box 10642, Harlow, Essex, CM20 9HA
CALL:
County & Highways: Lincolnshire County Council, County Offices, Newland, Lincoln LN1 1YL
CALL:
Electricity: Western Power Distribution - New Supplies - Customer Application Team,
Tollend Road, Tipton, DY4 0HH
Email:
CALL:
Gas: Cadent Gas
CALL:
Property details
- Tenure
- Freehold
- Council Tax Band
- Ask Agent
- Date Posted
- 2026-01-29
Utilities & Restrictions
Utilities
- Electricity
- Ask Agent
- Water
- Ask Agent
- Heating
- Ask Agent
- Broadband
- Ask Agent
- Sewerage
- Ask Agent
Rights & Restrictions
- Public Rights of Way
- Ask Agent
- Private Rights of Way
- Ask Agent
- Listed Property
- Ask Agent
- Restrictions
- Ask Agent
Property Features
- Accessibility
- Ask Agent
- Parking
- Ask Agent
- Garden
- Garden
Important notice: Information, maps and tags on this page are supplied by the advertising agent or generated automatically. LandSale has not verified them. Relying on these details is at your own risk, always carry out independent checks before committing to a purchase.
LandSale full disclaimer
Marketing information only - not formal particulars. The details on this website are provided for general guidance and do not constitute an offer or contract. Neither LandSale nor the advertising estate/land agent accepts responsibility for any inaccuracy.
1. Source of information
- Agent-supplied content: Core description, asking price, tenure, measurements, photographs and planning history are uploaded by the appointed agent, who remains solely responsible for their accuracy.
- Automated tags & categorisation: Property type, land-use class, acreage bands and similar labels may be applied by machine-learning models. They are intended as a helpful guide only and may not reflect the property's legal status or permitted use.
- Third-party & enriched data layers: Maps, boundary outlines, planning designations, soil reports, broadband coverage and other environmental or location-based insights are licensed from external suppliers. Such data are supplied “as is", may be incomplete or out of date and are subject to change without notice.
2. Verification required
Prospective purchasers must verify critical matters, including but not limited to planning permission, title boundaries, public rights of way, environmental constraints, acreage, services, access and VAT status, through their own inspections, specialist surveys, legal advisers and the selling agent before relying on the information or entering into any contract.
3. No warranty or liability
LandSale gives no warranty, express or implied, as to the accuracy, completeness or fitness for any particular purpose of the information displayed. LandSale shall not be liable for any loss, damage, cost or expense arising directly or indirectly from any use of or reliance on such information, save where liability may not be excluded by law.
4. Updates & feedback
If you believe any detail on this listing is inaccurate, please let us know. We will investigate and, where appropriate, update the listing or notify the agent.
© LandSale | Version 1.2 - January 2026
Listing agent
Longstaff, Spalding
5 New Road Spalding PE11 1BS
Enquire about this property
Contact Longstaff, Spalding
5 New Road Spalding PE11 1BS
View agent profile