Adjacent to Cross Hands Hotel, Llanybydder, SA40
Key Features
- Llanybydder
- Two individual building plots in the heart of a popular market town
- Good access available from the A485 Lampeter to Carmarthen Road.
- Plots were granted Planning Permission by Carmarthenshire County Council
- Main services are available to be connected including, water, electricity and drainage
Description
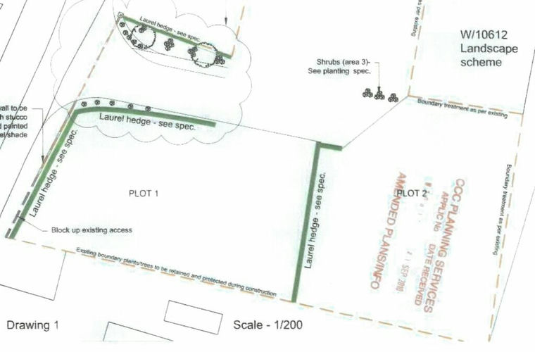
***A rare opportunity to acquire two individual building plots in the heart of a popular market town, close to the main square and within easy walking distance of all amenities.*** The plots are well located within the heart of the town and are defined as being level, serviced and with good access available from the A485 Lampeter to Carmarthen Road. *** The plots were granted Planning Permission by Carmarthenshire County Council under Application Number W/10612 and have extant consent.*** Main services are available to be connected including, water, electricity and drainage.***
Consent was originally granted for the erection of two dormer type dwellings.
Further details as regards Planning Consents are available from (Carmarthenshire County Council Planning Department).
Please contact the selling Agents Morgan and Davies Tel01570-423623 with any specific enquiries.
Freehold for sale by Private Treaty.
Mains water, electricity and drainage are available but are not known to be fully connected at present.
Location
Llanybydder is a famous small market town in the heart of the Teifi Valley, 18 miles North of the County town of Carmarthen and some 45 miles from the University town of Lampeter to the North. The plots lie close to all amenities including convenience store, shop, Post Office, Public Houses, livestock market and horse fair centre. Places of Worship and close to a bus route. Junior School nearby and garage.
Agent's comment
Rare opportunity to acquire two level building plots with the benefit of approved consent by Carmarthenshire County Council and "ready to go" residential development in a popular town.
All our properties are also available to view on our FACEBOOK Page - 'LIKE' our FACEBOOK Page for new listings, updates, property news and Chat to Us .
Money Laundering Regulations
The successful Purchaser will be required to produce adequate identification to prove their identity within the terms of the Money Laundering Regulations. Appropriate examples include Passport/Photo Driving Licence and a recent Utility Bill. Proof of funds will also be required or mortgage in principle papers if a mortgage is required.
Property details
- Tenure
- Freehold
- Council Tax Band
- Ask Agent
- Date Posted
- 2026-01-29
Utilities & Restrictions
Utilities
- Electricity
- Ask Agent
- Water
- Ask Agent
- Heating
- Ask Agent
- Broadband
- Ask Agent
- Sewerage
- Ask Agent
Rights & Restrictions
- Public Rights of Way
- Ask Agent
- Private Rights of Way
- Ask Agent
- Listed Property
- Ask Agent
- Restrictions
- Ask Agent
Property Features
- Accessibility
- Ask Agent
- Parking
- Parking Available
- Garden
- Ask Agent
Important notice: Information, maps and tags on this page are supplied by the advertising agent or generated automatically. LandSale has not verified them. Relying on these details is at your own risk, always carry out independent checks before committing to a purchase.
LandSale full disclaimer
Marketing information only - not formal particulars. The details on this website are provided for general guidance and do not constitute an offer or contract. Neither LandSale nor the advertising estate/land agent accepts responsibility for any inaccuracy.
1. Source of information
- Agent-supplied content: Core description, asking price, tenure, measurements, photographs and planning history are uploaded by the appointed agent, who remains solely responsible for their accuracy.
- Automated tags & categorisation: Property type, land-use class, acreage bands and similar labels may be applied by machine-learning models. They are intended as a helpful guide only and may not reflect the property's legal status or permitted use.
- Third-party & enriched data layers: Maps, boundary outlines, planning designations, soil reports, broadband coverage and other environmental or location-based insights are licensed from external suppliers. Such data are supplied “as is", may be incomplete or out of date and are subject to change without notice.
2. Verification required
Prospective purchasers must verify critical matters, including but not limited to planning permission, title boundaries, public rights of way, environmental constraints, acreage, services, access and VAT status, through their own inspections, specialist surveys, legal advisers and the selling agent before relying on the information or entering into any contract.
3. No warranty or liability
LandSale gives no warranty, express or implied, as to the accuracy, completeness or fitness for any particular purpose of the information displayed. LandSale shall not be liable for any loss, damage, cost or expense arising directly or indirectly from any use of or reliance on such information, save where liability may not be excluded by law.
4. Updates & feedback
If you believe any detail on this listing is inaccurate, please let us know. We will investigate and, where appropriate, update the listing or notify the agent.
© LandSale | Version 1.2 - January 2026
Listing agent
Morgan & Davies, Lampeter
12 Harford Square, Lampeter, SA48 7DT
Enquire about this property
Contact Morgan & Davies, Lampeter
12 Harford Square, Lampeter, SA48 7DT
View agent profile