Hunstanton Road, Heacham, King's Lynn, PE31
Key Features
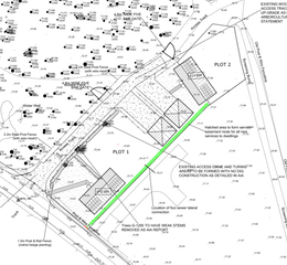
- 23/02273/O
- Outline Planning Permission
- Beautiful Location
- 1 of 2 Premium Plots
- Planning For Detached Dwelling
Description
A highly desirable plot of land in the Coastal Village of Heacham. This is one of two premium plots, both with outline planning permission for a detached dwelling. The planning reference number is 23/02273/O. Please contact us for more information.
Location
Heacham is a highly regarded coastal village on the north-west Norfolk coastline, offering an attractive blend of traditional village charm and modern-day convenience. Situated between the popular seaside resort of Hunstanton and the historic market town of King’s Lynn, the village enjoys an excellent location for both coastal and inland living.
The village itself provides a good range of local amenities including shops, cafés, public houses, a primary school and medical facilities, making it ideal for families, retirees and second-home buyers alike. Heacham is perhaps best known for its two sandy beaches, both of which offer stunning sunsets and direct access to the scenic Norfolk Coast Path, perfect for walking, cycling and outdoor pursuits.
Surrounded by open countryside and close to the Norfolk Coast Area of Outstanding Natural Beauty, Heacham offers a relaxed coastal lifestyle while remaining well connected. King’s Lynn, with its mainline rail services to ...
Property details
- Tenure
- Ask Agent
- Council Tax Band
- Ask Agent
- Date Posted
- 2026-01-28
Utilities & Restrictions
Utilities
- Electricity
- Ask Agent
- Water
- Ask Agent
- Heating
- Ask Agent
- Broadband
- Ask Agent
- Sewerage
- Ask Agent
Rights & Restrictions
- Public Rights of Way
- Ask Agent
- Private Rights of Way
- Ask Agent
- Listed Property
- Ask Agent
- Restrictions
- Ask Agent
Property Features
- Accessibility
- Ask Agent
- Parking
- Ask Agent
- Garden
- Ask Agent
Important notice: Information, maps and tags on this page are supplied by the advertising agent or generated automatically. LandSale has not verified them. Relying on these details is at your own risk, always carry out independent checks before committing to a purchase.
LandSale full disclaimer
Marketing information only - not formal particulars. The details on this website are provided for general guidance and do not constitute an offer or contract. Neither LandSale nor the advertising estate/land agent accepts responsibility for any inaccuracy.
1. Source of information
- Agent-supplied content: Core description, asking price, tenure, measurements, photographs and planning history are uploaded by the appointed agent, who remains solely responsible for their accuracy.
- Automated tags & categorisation: Property type, land-use class, acreage bands and similar labels may be applied by machine-learning models. They are intended as a helpful guide only and may not reflect the property's legal status or permitted use.
- Third-party & enriched data layers: Maps, boundary outlines, planning designations, soil reports, broadband coverage and other environmental or location-based insights are licensed from external suppliers. Such data are supplied “as is", may be incomplete or out of date and are subject to change without notice.
2. Verification required
Prospective purchasers must verify critical matters, including but not limited to planning permission, title boundaries, public rights of way, environmental constraints, acreage, services, access and VAT status, through their own inspections, specialist surveys, legal advisers and the selling agent before relying on the information or entering into any contract.
3. No warranty or liability
LandSale gives no warranty, express or implied, as to the accuracy, completeness or fitness for any particular purpose of the information displayed. LandSale shall not be liable for any loss, damage, cost or expense arising directly or indirectly from any use of or reliance on such information, save where liability may not be excluded by law.
4. Updates & feedback
If you believe any detail on this listing is inaccurate, please let us know. We will investigate and, where appropriate, update the listing or notify the agent.
© LandSale | Version 1.2 - January 2026
Listing agent
Newson & Buck Estate Agents, Kings Lynn
18-20 King Street, King's Lynn, PE30 1ES
Enquire about this property
Contact Newson & Buck Estate Agents, Kings Lynn
18-20 King Street, King's Lynn, PE30 1ES
View agent profile