Feldale Drove: Coates
- Land size
- 14.84 acres
Key Features
- For Sale - Freehold with Vacant Possession
- 14.840 Acres - 6.006 Hectares (or thereabouts)
- Grade 2 (Arable) Agricultural Land
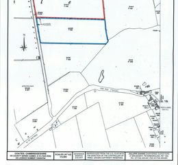
- Feldale Drove, Coates, Near Peterborough
- Price offers of not less than £110,000 are invited for the whole, subject to contract
Description
FOR SALE - FREEHOLD WITH VACANT POSSESSION
14.840 ACRES 6.006 HECTARES
(or thereabouts)
GRADE 2 (ARABLE) AGRICULTURAL LAND
FELDALE DROVE, COATES, NEAR PETERBOROUGH
as shown within the boundaries edged red and blue on the attached identification plan.
PRICE: Offers of not less than £100,000 are invited for the whole, subject to contract.
VIEWING
Prospective purchasers may view the land without further authority from the Agents but should carry a copy of these particulars with them during the course of their inspection and produce them if requested.
NOTES
The two fields are no longer separately physically defined and are in different ownership, but within the same family.
O.S. Number 2064 is owned by the Executors of the Late Miss A.H. Hurry who also own a 50% interest in O.S. Number 2066. The remaining 50% interest is owned equally by two other members of Miss Hurry's family.
For this reason separate offers are invited for each field or for their combined purchase if interested parties would only be interested in acquiring both parcels.
The land has not been cultivated since September 2021.
Property details
- Tenure
- Freehold
- Council Tax Band
- Ask Agent
- Date Posted
- 2026-01-29
Utilities & Restrictions
Utilities
- Electricity
- Ask Agent
- Water
- Ask Agent
- Heating
- Ask Agent
- Broadband
- Ask Agent
- Sewerage
- Ask Agent
Rights & Restrictions
- Public Rights of Way
- Ask Agent
- Private Rights of Way
- Ask Agent
- Listed Property
- Ask Agent
- Restrictions
- Ask Agent
Property Features
- Accessibility
- Ask Agent
- Parking
- Ask Agent
- Garden
- Ask Agent
Market Value Analysis
Based on properties with houses in East Anglia (10+ acres).
Important notice: Information, maps and tags on this page are supplied by the advertising agent or generated automatically. LandSale has not verified them. Relying on these details is at your own risk, always carry out independent checks before committing to a purchase.
LandSale full disclaimer
Marketing information only - not formal particulars. The details on this website are provided for general guidance and do not constitute an offer or contract. Neither LandSale nor the advertising estate/land agent accepts responsibility for any inaccuracy.
1. Source of information
- Agent-supplied content: Core description, asking price, tenure, measurements, photographs and planning history are uploaded by the appointed agent, who remains solely responsible for their accuracy.
- Automated tags & categorisation: Property type, land-use class, acreage bands and similar labels may be applied by machine-learning models. They are intended as a helpful guide only and may not reflect the property's legal status or permitted use.
- Third-party & enriched data layers: Maps, boundary outlines, planning designations, soil reports, broadband coverage and other environmental or location-based insights are licensed from external suppliers. Such data are supplied “as is", may be incomplete or out of date and are subject to change without notice.
2. Verification required
Prospective purchasers must verify critical matters, including but not limited to planning permission, title boundaries, public rights of way, environmental constraints, acreage, services, access and VAT status, through their own inspections, specialist surveys, legal advisers and the selling agent before relying on the information or entering into any contract.
3. No warranty or liability
LandSale gives no warranty, express or implied, as to the accuracy, completeness or fitness for any particular purpose of the information displayed. LandSale shall not be liable for any loss, damage, cost or expense arising directly or indirectly from any use of or reliance on such information, save where liability may not be excluded by law.
4. Updates & feedback
If you believe any detail on this listing is inaccurate, please let us know. We will investigate and, where appropriate, update the listing or notify the agent.
© LandSale | Version 1.2 - January 2026
Listing agent
Jolliffe Daking, Peterborough
37A Broadway, Peterborough, PE1 1SQ
Enquire about this property
Contact Jolliffe Daking, Peterborough
37A Broadway, Peterborough, PE1 1SQ
View agent profile