Plot 3 Land At Wakefield Road, Copley
Key Features
- Building Land with Full Planning Permission
- Detached Executive Home
- Views Over Norland Hillside
- Excellent Access to The Trans Pennine Road & Rail Network Linking Manchester & Leeds
- Easy Access to Outstanding Schools
- The Chance to Build Your Dream Home
- Single Building Plot
- Realistically Priced
Description
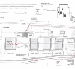
An excellent opportunity to purchase this single building land with full planning permission for an executive detached property in this highly desirable residential location overlooking the Norland Hillside. The present planning permission is for 5 executive detached four bedroomed family homes with plot one already sold. leaving the remaining four plots to be sold The present planning permission is for detached executive homes measuring approximately 220 square meters over four floors with integral garages four bedrooms, three bathrooms and gardens sweeping down to the canal side. There is main road access from Wakefield Road with all mains services available. Very rarely does an opportunity arise to purchase a plot of building land in this desirable and convenient location.
PLANNING PERMISSION
Full details can be downloaded from Calderdale Councils Website
https:/
ew.calderdale.gov.uk/planning-and-building-control/search-and-comment-planning-applications
TO VIEW
Strictly by appointment please contact the selling Agents Property@kemp&Co on
DIRECTIONS
SAT NAV HX6 2AZ
Property details
- Tenure
- Freehold
- Council Tax Band
- Ask Agent
- Date Posted
- 2026-01-29
Utilities & Restrictions
Utilities
- Electricity
- Ask Agent
- Water
- Ask Agent
- Heating
- Ask Agent
- Broadband
- Ask Agent
- Sewerage
- Ask Agent
Rights & Restrictions
- Public Rights of Way
- Ask Agent
- Private Rights of Way
- Ask Agent
- Listed Property
- Ask Agent
- Restrictions
- Ask Agent
Property Features
- Accessibility
- Ask Agent
- Parking
- Parking Available
- Garden
- Garden
Important notice: Information, maps and tags on this page are supplied by the advertising agent or generated automatically. LandSale has not verified them. Relying on these details is at your own risk, always carry out independent checks before committing to a purchase.
LandSale full disclaimer
Marketing information only - not formal particulars. The details on this website are provided for general guidance and do not constitute an offer or contract. Neither LandSale nor the advertising estate/land agent accepts responsibility for any inaccuracy.
1. Source of information
- Agent-supplied content: Core description, asking price, tenure, measurements, photographs and planning history are uploaded by the appointed agent, who remains solely responsible for their accuracy.
- Automated tags & categorisation: Property type, land-use class, acreage bands and similar labels may be applied by machine-learning models. They are intended as a helpful guide only and may not reflect the property's legal status or permitted use.
- Third-party & enriched data layers: Maps, boundary outlines, planning designations, soil reports, broadband coverage and other environmental or location-based insights are licensed from external suppliers. Such data are supplied “as is", may be incomplete or out of date and are subject to change without notice.
2. Verification required
Prospective purchasers must verify critical matters, including but not limited to planning permission, title boundaries, public rights of way, environmental constraints, acreage, services, access and VAT status, through their own inspections, specialist surveys, legal advisers and the selling agent before relying on the information or entering into any contract.
3. No warranty or liability
LandSale gives no warranty, express or implied, as to the accuracy, completeness or fitness for any particular purpose of the information displayed. LandSale shall not be liable for any loss, damage, cost or expense arising directly or indirectly from any use of or reliance on such information, save where liability may not be excluded by law.
4. Updates & feedback
If you believe any detail on this listing is inaccurate, please let us know. We will investigate and, where appropriate, update the listing or notify the agent.
© LandSale | Version 1.2 - January 2026
Listing agent
Property @ Kemp and Co, Halifax
350 Skircoat Green Road, Skircoat Green, Halifax, HX3 0RR
Enquire about this property
Contact Property @ Kemp and Co, Halifax
350 Skircoat Green Road, Skircoat Green, Halifax, HX3 0RR
View agent profile