Llwyncelyn Road, Glanamman, Ammanford, Carmarthenshire, SA18
Key Features
- One Sizeable Building Plot
- Far Reaching Views Along A Leafy Country Lane
Description
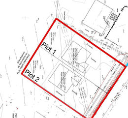
Seize the rare opportunity to acquire one of two enticing building plots nestled on a serene country road in the picturesque village of Glanamman. Offering panoramic vistas of majestic mountains, these plots promise an idyllic setting for crafting your dream abode.
Each plot spans approximately 14.7 meters in width and 28 meters in depth, providing ample space for designing a bespoke residence tailored to your preferences. With outline planning permission already secured (planning reference number: E/39321), the idea is laid for transforming these parcels into a haven of modern living amidst nature's splendor.
Imagine waking up to the tranquil ambiance of rural life, with the gentle rustle of leaves and the distant murmur of streams as your backdrop. Whether you envision a cozy retreat or a contemporary architectural marvel, these plots offer boundless potential for realizing your vision.
Conveniently located yet blissfully secluded, these plots strike the perfect balance between accessibility and escapism. Embrace a lifestyle of serenity and inspiration in Glanamman, where every day unfolds against a backdrop of breathtaking scenery.
Don't miss this chance to secure your slice of paradise. Contact us now to arrange a viewing and embark on the journey to creating your own sanctuary amidst nature's grandeur.
Property details
- Tenure
- Freehold
- Council Tax Band
- TBC
- Date Posted
- 2026-01-29
Utilities & Restrictions
Utilities
- Electricity
- Ask Agent
- Water
- Ask Agent
- Heating
- Ask Agent
- Broadband
- Ask Agent
- Sewerage
- Ask Agent
Rights & Restrictions
- Public Rights of Way
- Ask Agent
- Private Rights of Way
- Ask Agent
- Listed Property
- Ask Agent
- Restrictions
- Ask Agent
Property Features
- Accessibility
- Ask Agent
- Parking
- Ask Agent
- Garden
- Ask Agent
Important notice: Information, maps and tags on this page are supplied by the advertising agent or generated automatically. LandSale has not verified them. Relying on these details is at your own risk, always carry out independent checks before committing to a purchase.
LandSale full disclaimer
Marketing information only - not formal particulars. The details on this website are provided for general guidance and do not constitute an offer or contract. Neither LandSale nor the advertising estate/land agent accepts responsibility for any inaccuracy.
1. Source of information
- Agent-supplied content: Core description, asking price, tenure, measurements, photographs and planning history are uploaded by the appointed agent, who remains solely responsible for their accuracy.
- Automated tags & categorisation: Property type, land-use class, acreage bands and similar labels may be applied by machine-learning models. They are intended as a helpful guide only and may not reflect the property's legal status or permitted use.
- Third-party & enriched data layers: Maps, boundary outlines, planning designations, soil reports, broadband coverage and other environmental or location-based insights are licensed from external suppliers. Such data are supplied “as is", may be incomplete or out of date and are subject to change without notice.
2. Verification required
Prospective purchasers must verify critical matters, including but not limited to planning permission, title boundaries, public rights of way, environmental constraints, acreage, services, access and VAT status, through their own inspections, specialist surveys, legal advisers and the selling agent before relying on the information or entering into any contract.
3. No warranty or liability
LandSale gives no warranty, express or implied, as to the accuracy, completeness or fitness for any particular purpose of the information displayed. LandSale shall not be liable for any loss, damage, cost or expense arising directly or indirectly from any use of or reliance on such information, save where liability may not be excluded by law.
4. Updates & feedback
If you believe any detail on this listing is inaccurate, please let us know. We will investigate and, where appropriate, update the listing or notify the agent.
© LandSale | Version 1.2 - January 2026
Listing agent
John Francis, Ammanford
24 College Street, Ammanford, SA18 3AF
Enquire about this property
Contact John Francis, Ammanford
24 College Street, Ammanford, SA18 3AF
View agent profile