Development Site, Devonside Road, Carmichael, ML12 6PQ
- Land size
- 10 acres
Key Features
- Development Site
- Just Over 10 Acres
- Conditional Planning Permission
- Beautiful Rural Location
Description
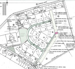
Offered for sale is this development site situated in the charming rural hamlet of Carmichael, nestled in the South Lanarkshire countryside. The site extends to just over 10 acres with conditional planning permission passed for the construction of 16 new homes set within large plots with open country views. The potential purchaser will need to submit further applications and building warrants for the detailed house styles proposed. The approval was initially granted back in 2006 but the planning remains live due to some landscaping and access works which have been carried out by the current owner. Planning Ref. CL/03/0576
The rural hamlet of Carmichael is approximately 5 miles from the historic market town of Lanark and just over 9 miles from the popular town of Biggar. The hamlet has a collection of residential homes and Primary School and Church. The site also lies just 6 miles from the M74 providing fantastic commuting links across Central Scotland. Both Scotland’s major cities are within approximately an hours commute.
• Conditional planning for sixteen homes
• Beautiful rural location yet close to Scotland’s major cities
• All purchase structures considered
Property details
- Tenure
- Freehold
- Council Tax Band
- Ask Agent
- Date Posted
- 2026-01-29
Utilities & Restrictions
Utilities
- Electricity
- Ask Agent
- Water
- Ask Agent
- Heating
- Ask Agent
- Broadband
- Ask Agent
- Sewerage
- Ask Agent
Rights & Restrictions
- Public Rights of Way
- Ask Agent
- Private Rights of Way
- Ask Agent
- Listed Property
- Ask Agent
- Restrictions
- Ask Agent
Property Features
- Accessibility
- Ask Agent
- Parking
- Ask Agent
- Garden
- Ask Agent
Market Value Analysis
Based on properties with houses in Scotland (10+ acres).
Important notice: Information, maps and tags on this page are supplied by the advertising agent or generated automatically. LandSale has not verified them. Relying on these details is at your own risk, always carry out independent checks before committing to a purchase.
LandSale full disclaimer
Marketing information only - not formal particulars. The details on this website are provided for general guidance and do not constitute an offer or contract. Neither LandSale nor the advertising estate/land agent accepts responsibility for any inaccuracy.
1. Source of information
- Agent-supplied content: Core description, asking price, tenure, measurements, photographs and planning history are uploaded by the appointed agent, who remains solely responsible for their accuracy.
- Automated tags & categorisation: Property type, land-use class, acreage bands and similar labels may be applied by machine-learning models. They are intended as a helpful guide only and may not reflect the property's legal status or permitted use.
- Third-party & enriched data layers: Maps, boundary outlines, planning designations, soil reports, broadband coverage and other environmental or location-based insights are licensed from external suppliers. Such data are supplied “as is", may be incomplete or out of date and are subject to change without notice.
2. Verification required
Prospective purchasers must verify critical matters, including but not limited to planning permission, title boundaries, public rights of way, environmental constraints, acreage, services, access and VAT status, through their own inspections, specialist surveys, legal advisers and the selling agent before relying on the information or entering into any contract.
3. No warranty or liability
LandSale gives no warranty, express or implied, as to the accuracy, completeness or fitness for any particular purpose of the information displayed. LandSale shall not be liable for any loss, damage, cost or expense arising directly or indirectly from any use of or reliance on such information, save where liability may not be excluded by law.
4. Updates & feedback
If you believe any detail on this listing is inaccurate, please let us know. We will investigate and, where appropriate, update the listing or notify the agent.
© LandSale | Version 1.2 - January 2026
Listing agent
Remax Clydesdale, Lanark
2 High Street, Lanark, ML11 7EX
Enquire about this property
Contact Remax Clydesdale, Lanark
2 High Street, Lanark, ML11 7EX
View agent profile