Bellfield Road, Coalburn, Lanark
Description
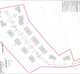
An excellent opportunity to acquire a development site with planning permission having been granted for 21 houses made up of a mixture of 4 bedroomed detached villas and 3 and 4 bedroomed semi-detached homes.
The site at Bellfield Road set on the periphery of Coalburn village and is within close proximity to the M74 motorway.
Full details can be found on the South Lanarkshire Planning portal along with the completed section 75 with planning reference P/19/0884.
To register your interest or arrange a site visit then please contact our Hamilton office on .
Coalburn is a small village set on the outskirts of Lesmahagow. The village offers several local amenities including a primary school, shop and pub as well as Coalburn Leisure centre, whilst Lesmahagow offers a wider range of amenities including a Tesco Superstore, fuel stations, post office and a wide variety of additional professional services. There are also two primary schools and the recently constructed Lesmahagow High School which hosts the Lesmahagow Sports Facility, which is a multipurpose sports and leisure centre.
An excellent opportunity to acquire a development site with planning permission having been granted for 21 houses made up of a mixture of 4 bedroomed detached villas and 3 and 4 bedroomed semi-detached homes.
Property details
- Tenure
- Freehold
- Council Tax Band
- Ask Agent
- Date Posted
- 2026-01-29
Utilities & Restrictions
Utilities
- Electricity
- Ask Agent
- Water
- Ask Agent
- Heating
- Ask Agent
- Broadband
- Ask Agent
- Sewerage
- Ask Agent
Rights & Restrictions
- Public Rights of Way
- Ask Agent
- Private Rights of Way
- Ask Agent
- Listed Property
- Ask Agent
- Restrictions
- Ask Agent
Property Features
- Accessibility
- Ask Agent
- Parking
- Ask Agent
- Garden
- Ask Agent
Important notice: Information, maps and tags on this page are supplied by the advertising agent or generated automatically. LandSale has not verified them. Relying on these details is at your own risk, always carry out independent checks before committing to a purchase.
LandSale full disclaimer
Marketing information only - not formal particulars. The details on this website are provided for general guidance and do not constitute an offer or contract. Neither LandSale nor the advertising estate/land agent accepts responsibility for any inaccuracy.
1. Source of information
- Agent-supplied content: Core description, asking price, tenure, measurements, photographs and planning history are uploaded by the appointed agent, who remains solely responsible for their accuracy.
- Automated tags & categorisation: Property type, land-use class, acreage bands and similar labels may be applied by machine-learning models. They are intended as a helpful guide only and may not reflect the property's legal status or permitted use.
- Third-party & enriched data layers: Maps, boundary outlines, planning designations, soil reports, broadband coverage and other environmental or location-based insights are licensed from external suppliers. Such data are supplied “as is", may be incomplete or out of date and are subject to change without notice.
2. Verification required
Prospective purchasers must verify critical matters, including but not limited to planning permission, title boundaries, public rights of way, environmental constraints, acreage, services, access and VAT status, through their own inspections, specialist surveys, legal advisers and the selling agent before relying on the information or entering into any contract.
3. No warranty or liability
LandSale gives no warranty, express or implied, as to the accuracy, completeness or fitness for any particular purpose of the information displayed. LandSale shall not be liable for any loss, damage, cost or expense arising directly or indirectly from any use of or reliance on such information, save where liability may not be excluded by law.
4. Updates & feedback
If you believe any detail on this listing is inaccurate, please let us know. We will investigate and, where appropriate, update the listing or notify the agent.
© LandSale | Version 1.2 - January 2026
Listing agent
Residence Estate Agents, Hamilton
34 Cadzow Street Hamilton ML3 6DG
Enquire about this property
Contact Residence Estate Agents, Hamilton
34 Cadzow Street Hamilton ML3 6DG
View agent profile