Station Road Site, Blantyre, G72 9BX
- Land size
- 4.58 acres
Key Features
- Development Opportunity
- Previous Consented Planning
- Prominent Position
- 4.58 Acres
Description
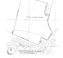
This site extends to 1.8 Ha (4.58 Acres) and previously had planning permission for the construction of an 80-bedroom care home, situated over two storeys. Application Reference: HM/07/0488.
Location
This site is located in the desirable town of Blantyre in South Lanarkshire, which is known for its lovely surroundings and strong sense of community. The area offers various amenities including shops, restaurants, cafes, and recreational facilities. Residents can also enjoy the serene atmosphere and beautiful natural landscape of the nearby Clyde Valley, which provides stunning views and opportunities for leisurely walks.
Blantyre is conveniently situated, being only 14 miles east of Glasgow City Centre. This provides easy access to the vibrant city atmosphere, shopping districts, universities, and employment opportunities it offers. The town also benefits from excellent transportation connections, with the nearby M74 motorway and its own railway stations linking it to Glasgow City Centre and other destinations.
Property details
- Tenure
- Freehold
- Council Tax Band
- Ask Agent
- Date Posted
- 2026-01-29
Utilities & Restrictions
Utilities
- Electricity
- Ask Agent
- Water
- Ask Agent
- Heating
- Ask Agent
- Broadband
- Ask Agent
- Sewerage
- Ask Agent
Rights & Restrictions
- Public Rights of Way
- Ask Agent
- Private Rights of Way
- Ask Agent
- Listed Property
- Ask Agent
- Restrictions
- Ask Agent
Property Features
- Accessibility
- Ask Agent
- Parking
- Ask Agent
- Garden
- Ask Agent
Map Location
Important notice: Information, maps and tags on this page are supplied by the advertising agent or generated automatically. LandSale has not verified them. Relying on these details is at your own risk, always carry out independent checks before committing to a purchase.
LandSale full disclaimer
Marketing information only - not formal particulars. The details on this website are provided for general guidance and do not constitute an offer or contract. Neither LandSale nor the advertising estate/land agent accepts responsibility for any inaccuracy.
1. Source of information
- Agent-supplied content: Core description, asking price, tenure, measurements, photographs and planning history are uploaded by the appointed agent, who remains solely responsible for their accuracy.
- Automated tags & categorisation: Property type, land-use class, acreage bands and similar labels may be applied by machine-learning models. They are intended as a helpful guide only and may not reflect the property's legal status or permitted use.
- Third-party & enriched data layers: Maps, boundary outlines, planning designations, soil reports, broadband coverage and other environmental or location-based insights are licensed from external suppliers. Such data are supplied “as is", may be incomplete or out of date and are subject to change without notice.
2. Verification required
Prospective purchasers must verify critical matters, including but not limited to planning permission, title boundaries, public rights of way, environmental constraints, acreage, services, access and VAT status, through their own inspections, specialist surveys, legal advisers and the selling agent before relying on the information or entering into any contract.
3. No warranty or liability
LandSale gives no warranty, express or implied, as to the accuracy, completeness or fitness for any particular purpose of the information displayed. LandSale shall not be liable for any loss, damage, cost or expense arising directly or indirectly from any use of or reliance on such information, save where liability may not be excluded by law.
4. Updates & feedback
If you believe any detail on this listing is inaccurate, please let us know. We will investigate and, where appropriate, update the listing or notify the agent.
© LandSale | Version 1.2 - January 2026
Listing agent
JLL, Glasgow - Offices
103 Waterloo Street, Glasgow, G2 7BW




