Land Adjacent To, High Street, Sutton
- Land size
- 0.15 acres
Description
Located within the heart of this sought-after village, this level vegetable garden measures approximately 0.15 acres, for sale by Public Auction on Wednesday 22nd April 2026.
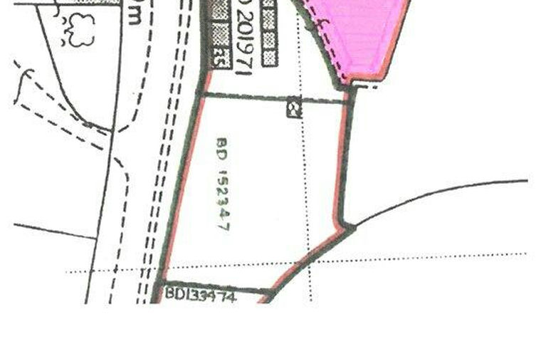
Set opposite and between attractive period properties, with a wide entrance from the highway, this level vegetable garden has a public footpath that extends along the eastern boundary, together with fenced side boundaries and a hedge along the rear boundary with fields beyond.
What3Words:
///covertly.doted.drove
Tenure:
Freehold
Viewings:
You are welcome to view in daylight hours, at your convenience.
** The auction is being held at the Delta Marriott Hotel, Timbold Drive, Milton Keynes MK7 6HL on Wednesday 22nd April 2026 and will start at 12:00; it is a public auction so you can just turn up on the day you do not need to pre-register.
You can also register for telephone/proxy/internet bidding online from the 13th April 2026 by following the link below and clicking on the yellow box Register to Bid: **
EPC Rating:
N/A
VAT:
VAT is not applicable
Seller's Solicitor:
Mills & Reeve Solicitors
Ref: Imogen Pearce
1 St. James Court, Norwich, Norfolk, NR3 1RU
imogen.
Local Authority:
Central Bedfordshire Council -
Services:
Interested parties are requested to make their own enquiries to the relevant authorities as to the availability of services.
Buyers Premium:
There is no Buyer's Premium payable on this lot.
Disbursements:
Please see the legal pack for any disbursements listed that may become payable by the purchaser on completion.
Administration Charge:
Purchasers will be required to pay an administration fee of £1,500 incl. VAT
Property details
- Tenure
- Freehold
- Council Tax Band
- TBC
- Date Posted
- 2026-03-18
Utilities & Restrictions
Utilities
- Electricity
- Ask Agent
- Water
- Ask Agent
- Heating
- Ask Agent
- Broadband
- Ask Agent
- Sewerage
- Ask Agent
Rights & Restrictions
- Public Rights of Way
- Ask Agent
- Private Rights of Way
- Ask Agent
- Listed Property
- Ask Agent
- Restrictions
- Ask Agent
Property Features
- Accessibility
- Ask Agent
- Parking
- Parking Available
- Garden
- Garden
Important notice: Information, maps and tags on this page are supplied by the advertising agent or generated automatically. LandSale has not verified them. Relying on these details is at your own risk, always carry out independent checks before committing to a purchase.
LandSale full disclaimer
Marketing information only - not formal particulars. The details on this website are provided for general guidance and do not constitute an offer or contract. Neither LandSale nor the advertising estate/land agent accepts responsibility for any inaccuracy.
1. Source of information
- Agent-supplied content: Core description, asking price, tenure, measurements, photographs and planning history are uploaded by the appointed agent, who remains solely responsible for their accuracy.
- Automated tags & categorisation: Property type, land-use class, acreage bands and similar labels may be applied by machine-learning models. They are intended as a helpful guide only and may not reflect the property's legal status or permitted use.
- Third-party & enriched data layers: Maps, boundary outlines, planning designations, soil reports, broadband coverage and other environmental or location-based insights are licensed from external suppliers. Such data are supplied “as is", may be incomplete or out of date and are subject to change without notice.
2. Verification required
Prospective purchasers must verify critical matters, including but not limited to planning permission, title boundaries, public rights of way, environmental constraints, acreage, services, access and VAT status, through their own inspections, specialist surveys, legal advisers and the selling agent before relying on the information or entering into any contract.
3. No warranty or liability
LandSale gives no warranty, express or implied, as to the accuracy, completeness or fitness for any particular purpose of the information displayed. LandSale shall not be liable for any loss, damage, cost or expense arising directly or indirectly from any use of or reliance on such information, save where liability may not be excluded by law.
4. Updates & feedback
If you believe any detail on this listing is inaccurate, please let us know. We will investigate and, where appropriate, update the listing or notify the agent.
© LandSale | Version 1.2 - January 2026
Listing agent
Robinson & Hall Auctions, Bedford & Buckingham
Unit 1, Highfield Court Highfield Road Oakley Bedford MK43 7TA
Contact Robinson & Hall Auctions, Bedford & Buckingham
Unit 1, Highfield Court Highfield Road Oakley Bedford MK43 7TA
View agent profile