Land for Sale in Cumbria
449 properties

- Price
- Guide Price£350,000
- Size
- 2 acres
Development Land

Barn Conversion

Barn Conversion

Farmhouse

Residential Land

Barn Conversion

House with Land

House with Land

- Price
- Offers in Region of£500,000
Development Land

- Price
- Offers in Region of£12,000
Vacant Land

- Price
- Guide Price£275,000
Development Land

Barn Conversion

- Price
- Guide Price£100,000
- Size
- 0.3 acres
Undeveloped Land

Commercial Land

Farmhouse

- Price
- Offers in Region of£3,500,000
Development

Barn Conversion

- Price
- Guide Price£875,000
- Size
- 2.9 acres
Development Land

- Price
- Guide Price£275,000
- Size
- 2.1 acres
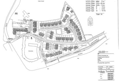
Land At Links Crescent, Links Crescent, Seascale, Cumbria, CA20
Development Land

- Price
- Offers in Region of£350,000
- Size
- 0.96 acres
Redevelopment Land
401-420 of 449 properties
Land Updates
Your perfect property is out there. Get an alert the moment it appears.