Plot 4 At Alexander Street And Gordon Street, Dunoon, PA23 7EJ
Key Features
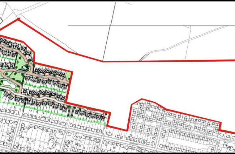
- Prime Property Auctions is excited to bring to market this substantial site boasting 201,247 square feet.
- ***Gordon Street, Dunoon PA23 7EJ previously sold for £177,500, 36, Alexander Street, Dunoon, Argyll PA23 7EW previously sold £245,000, 120, Alexander Street, Dunoon, Arg PA23 7PY sold for £240,500***
- Would suit keen developers looking for an attractive development opportunity, subject to researching and gaining necessary planning permissions.
- 19/01456/PP - Erection of 101 dwelling houses. Approved 28.9.21 on adjacent land.
- Proposed commercial development of hotel with restaurant, function rooms, pools, and spa and leisure facilities with local Argyll & Bute council - 21/02008/PREAPP
Description
Prime Property Auctions is excited to bring to market this substantial site boasting 201,247 square feet.
***Gordon Street, Dunoon PA23 7EJ previously sold for £177,500, 36, Alexander Street, Dunoon, Argyll PA23 7EW previously sold £245,000, 120, Alexander Street, Dunoon, Arg PA23 7PY sold for £240,500***
Would suit keen developers looking for an attractive development opportunity, subject to researching and gaining necessary planning permissions.
19/01456/PP - Erection of 101 dwelling houses. Approved 28.9.21 on adjacent land.
Proposed commercial development of hotel with restaurant, function rooms, pools, and spa and leisure facilities with local Argyll & Bute council - 21/02008/PREAPP
Prime Property Auctions is excited to bring to market this substantial site boasting 201,247 square feet.
Sale Evidence:
***Gordon Street, Dunoon PA23 7EJ previously sold for £177,500, 36, Alexander Street, Dunoon, Argyll PA23 7EW previously sold £245,000, 120, Alexander Street, Dunoon, Arg PA23 7PY sold for £240,500***
PRICE TO ENSURE QUICK SALE & POTENTIALLY HIGH YIELDING INVESTMENT
Local council to develop 101 residential dwelling houses adjacent to land for sale.
Would suit keen developers looking for an attractive development opportunity, subject to researching and gaining necessary planning permissions.
Proposed commercial development of hotel with restaurant, function rooms, pools, and spa and leisure facilities with local Argyll & Bute council - 21/02008/PREAPP
This lot is open to immediate offers. Should you wish to offer NOW, you can do so via our Offer Now button on our website.
This property is offered at a fantastic price to ensure an Auction sale.
The property will feature in our upcoming timed online auction.
To participate in the live auction, you must have a bidding account created. For further details on how to have a bidding account created please contact the team.
Location:
Dunoon presents a lucrative investment opportunity for those seeking to capitalise on Scotland's thriving tourism and leisure industries. With its stunning coastal scenery and rich maritime heritage, Dunoon serves as an ideal destination for strategic investment in hospitality, leisure, and real estate ventures. The town's status as the gateway to Argyll Forest Park and its proximity to popular tourist attractions make it a prime location for hotel developments, holiday accommodation, and recreational facilities. Additionally, Dunoon's vibrant community spirit and year-round events create a bustling atmosphere that attracts visitors and residents alike, ensuring a steady stream of clientele for businesses. With the potential for high returns and sustainable growth, investing in Dunoon offers a promising opportunity to be part of the region's economic expansion and prosperity.
Property details
- Tenure
- Ask Agent
- Council Tax Band
- Ask Agent
- Date Posted
- 2026-01-29
Utilities & Restrictions
Utilities
- Electricity
- Ask Agent
- Water
- Ask Agent
- Heating
- Ask Agent
- Broadband
- Ask Agent
- Sewerage
- Ask Agent
Rights & Restrictions
- Public Rights of Way
- Ask Agent
- Private Rights of Way
- Ask Agent
- Listed Property
- Ask Agent
- Restrictions
- Ask Agent
Property Features
- Accessibility
- Ask Agent
- Parking
- Ask Agent
- Garden
- Ask Agent
Important notice: Information, maps and tags on this page are supplied by the advertising agent or generated automatically. LandSale has not verified them. Relying on these details is at your own risk, always carry out independent checks before committing to a purchase.
LandSale full disclaimer
Marketing information only - not formal particulars. The details on this website are provided for general guidance and do not constitute an offer or contract. Neither LandSale nor the advertising estate/land agent accepts responsibility for any inaccuracy.
1. Source of information
- Agent-supplied content: Core description, asking price, tenure, measurements, photographs and planning history are uploaded by the appointed agent, who remains solely responsible for their accuracy.
- Automated tags & categorisation: Property type, land-use class, acreage bands and similar labels may be applied by machine-learning models. They are intended as a helpful guide only and may not reflect the property's legal status or permitted use.
- Third-party & enriched data layers: Maps, boundary outlines, planning designations, soil reports, broadband coverage and other environmental or location-based insights are licensed from external suppliers. Such data are supplied “as is", may be incomplete or out of date and are subject to change without notice.
2. Verification required
Prospective purchasers must verify critical matters, including but not limited to planning permission, title boundaries, public rights of way, environmental constraints, acreage, services, access and VAT status, through their own inspections, specialist surveys, legal advisers and the selling agent before relying on the information or entering into any contract.
3. No warranty or liability
LandSale gives no warranty, express or implied, as to the accuracy, completeness or fitness for any particular purpose of the information displayed. LandSale shall not be liable for any loss, damage, cost or expense arising directly or indirectly from any use of or reliance on such information, save where liability may not be excluded by law.
4. Updates & feedback
If you believe any detail on this listing is inaccurate, please let us know. We will investigate and, where appropriate, update the listing or notify the agent.
© LandSale | Version 1.2 - January 2026
Listing agent
Prime Property, Glasgow
100 West Regent Street, Glasgow, Scotland G2 2QD
Enquire about this property
Contact Prime Property, Glasgow
100 West Regent Street, Glasgow, Scotland G2 2QD
View agent profile