Plot To East Of Greystones, Plot To East Of Greystones, Craigmyle Road, Torphins, Banchory, AB31
Description
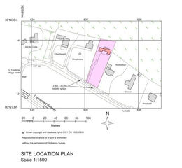
A rare opportunity has arisen to acquire a building plot in a highly desirable location on the edge of the Royal Deeside village of Torphins. Located on the sought after Craigmyle Road, the building plot previously had full planning permission for the construction of a three bedroom, two storey, detached home with integral garage.
Occupying a sheltered position with a southerly aspect, the property has been designed to complement the surrounding environment.
The finished property will offer spacious and versatile accommodation comprising large open plan kitchen/dining/family room, separate lounge, bedroom/family room, utility room and WC on the ground floor and master bedroom with ensuite, bedroom, study and bathroom on the first floor.
An integral double garage will create ample space for secure parking and storage, with additional parking on the driveway.
Full details and all relevant planning documentation can be found can be found on the Aberdeenshire Planning Portal using the application reference: APP/2019/0664
All enquiries should be made to Aberdein Considine. Site visits can be arranged.
The picturesque village of Torphins is ideally located, offering tranquillity of village life, but with in easy commuting distance of Aberdeen (21 miles) with regular bus routes to Aberdeen and Deeside available. There is a good choice of shops and amenities within Torphins including a chemist and general grocers/post office with a wider range at nearby Banchory (6 miles) or Aboyne (8 miles). There is an excellent primary school in the village with secondary education available at nearby Aboyne Academy which incorporates a community and sports centre with a swimming pool. There is a wide range of outdoor pursuits available in the area including a 9-hole golf course, tennis courts and plentiful walking, hiking and biking routes.
Property details
- Tenure
- Ask Agent
- Council Tax Band
- TBC
- Date Posted
- 2026-01-29
Utilities & Restrictions
Utilities
- Electricity
- Ask Agent
- Water
- Ask Agent
- Heating
- Ask Agent
- Broadband
- Ask Agent
- Sewerage
- Ask Agent
Rights & Restrictions
- Public Rights of Way
- Ask Agent
- Private Rights of Way
- Ask Agent
- Listed Property
- Ask Agent
- Restrictions
- Ask Agent
Property Features
- Accessibility
- Ask Agent
- Parking
- Parking Available
- Garden
- Ask Agent
Important notice: Information, maps and tags on this page are supplied by the advertising agent or generated automatically. LandSale has not verified them. Relying on these details is at your own risk, always carry out independent checks before committing to a purchase.
LandSale full disclaimer
Marketing information only - not formal particulars. The details on this website are provided for general guidance and do not constitute an offer or contract. Neither LandSale nor the advertising estate/land agent accepts responsibility for any inaccuracy.
1. Source of information
- Agent-supplied content: Core description, asking price, tenure, measurements, photographs and planning history are uploaded by the appointed agent, who remains solely responsible for their accuracy.
- Automated tags & categorisation: Property type, land-use class, acreage bands and similar labels may be applied by machine-learning models. They are intended as a helpful guide only and may not reflect the property's legal status or permitted use.
- Third-party & enriched data layers: Maps, boundary outlines, planning designations, soil reports, broadband coverage and other environmental or location-based insights are licensed from external suppliers. Such data are supplied “as is", may be incomplete or out of date and are subject to change without notice.
2. Verification required
Prospective purchasers must verify critical matters, including but not limited to planning permission, title boundaries, public rights of way, environmental constraints, acreage, services, access and VAT status, through their own inspections, specialist surveys, legal advisers and the selling agent before relying on the information or entering into any contract.
3. No warranty or liability
LandSale gives no warranty, express or implied, as to the accuracy, completeness or fitness for any particular purpose of the information displayed. LandSale shall not be liable for any loss, damage, cost or expense arising directly or indirectly from any use of or reliance on such information, save where liability may not be excluded by law.
4. Updates & feedback
If you believe any detail on this listing is inaccurate, please let us know. We will investigate and, where appropriate, update the listing or notify the agent.
© LandSale | Version 1.2 - January 2026
Listing agent
Aberdein Considine, Perth
74 High Street, Perth PH1 5TH
Enquire about this property
Contact Aberdein Considine, Perth
74 High Street, Perth PH1 5TH
View agent profile