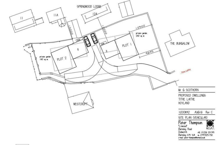
Tithe Laithe, Hoyland, Barnsley
Key Features
- PLANNING PERMISSION GRANTED
- TWO FOUR BEDROOM DETACHED PROPERTIES
- PRIVATE DEVELOPMENT
- INVESTMENT OPPORTUNITY
Description
Welcome to Tithe Laithe, Hoyland, Barnsley - a truly exceptional opportunity for those looking to create their dream home in a picturesque location. This building plot offers not just one, but two unique four-bedroom detached properties.
Situated in a private development, this plot comes with the rare advantage of already having planning permission granted. This means you can start building your dream home straight away, without the hassle of waiting for approvals.
With 2 reception rooms and 2 bathrooms, these properties are designed to offer spacious and comfortable living spaces for you and your family. The potential of this plot is truly limitless, allowing you to customise and design your home exactly to your taste and needs.
Imagine waking up in one of the 4 bedrooms, stepping into the beautifully designed living spaces, and enjoying the tranquillity of this sought-after location. Whether you're looking to create a forever home or an investment opportunity, this building plot offers the perfect canvas for you to realise your vision.
Don't miss out on this incredible chance to build not just one, but two stunning properties in a desirable area. Contact us today to find out more about this once-in-a-lifetime opportunity at Tithe Laithe, Hoyland, Barnsley.
Property details
- Tenure
- Freehold
- Council Tax Band
- Ask Agent
- Date Posted
- 2026-01-29
Utilities & Restrictions
Utilities
- Electricity
- Ask Agent
- Water
- Ask Agent
- Heating
- Ask Agent
- Broadband
- Ask Agent
- Sewerage
- Ask Agent
Rights & Restrictions
- Public Rights of Way
- Ask Agent
- Private Rights of Way
- Ask Agent
- Listed Property
- Ask Agent
- Restrictions
- Ask Agent
Property Features
- Accessibility
- Ask Agent
- Parking
- Ask Agent
- Garden
- Ask Agent
Important notice: Information, maps and tags on this page are supplied by the advertising agent or generated automatically. LandSale has not verified them. Relying on these details is at your own risk, always carry out independent checks before committing to a purchase.
LandSale full disclaimer
Marketing information only - not formal particulars. The details on this website are provided for general guidance and do not constitute an offer or contract. Neither LandSale nor the advertising estate/land agent accepts responsibility for any inaccuracy.
1. Source of information
- Agent-supplied content: Core description, asking price, tenure, measurements, photographs and planning history are uploaded by the appointed agent, who remains solely responsible for their accuracy.
- Automated tags & categorisation: Property type, land-use class, acreage bands and similar labels may be applied by machine-learning models. They are intended as a helpful guide only and may not reflect the property's legal status or permitted use.
- Third-party & enriched data layers: Maps, boundary outlines, planning designations, soil reports, broadband coverage and other environmental or location-based insights are licensed from external suppliers. Such data are supplied “as is", may be incomplete or out of date and are subject to change without notice.
2. Verification required
Prospective purchasers must verify critical matters, including but not limited to planning permission, title boundaries, public rights of way, environmental constraints, acreage, services, access and VAT status, through their own inspections, specialist surveys, legal advisers and the selling agent before relying on the information or entering into any contract.
3. No warranty or liability
LandSale gives no warranty, express or implied, as to the accuracy, completeness or fitness for any particular purpose of the information displayed. LandSale shall not be liable for any loss, damage, cost or expense arising directly or indirectly from any use of or reliance on such information, save where liability may not be excluded by law.
4. Updates & feedback
If you believe any detail on this listing is inaccurate, please let us know. We will investigate and, where appropriate, update the listing or notify the agent.
© LandSale | Version 1.2 - January 2026
Listing agent
Hunters, Barnsley
1-3 Church Street Barnsley S70 2AB
Enquire about this property
Contact Hunters, Barnsley
1-3 Church Street Barnsley S70 2AB
View agent profile