Greenhills House, Cauldwell road, Sutton-In-Ashfield
Description
Exceptional Residential Development Opportunity...
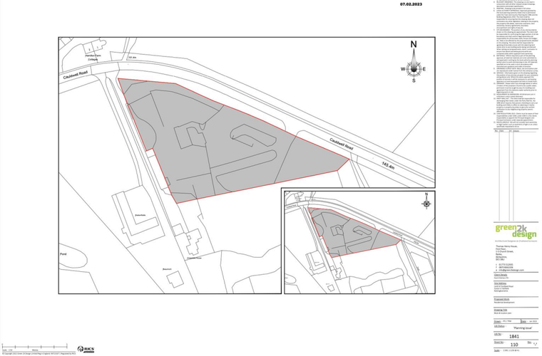
A rare and outstanding opportunity to acquire a prime seven-plot residential development site, ideally located within one of Sutton-in-Ashfield's most desirable neighborhoods.
This exceptional plot of land comes with full planning permission for a luxury development of seven exclusive detached homes. The approved planning application allows for the construction of a bespoke, high-quality residential enclave that seamlessly blends modern design with the surrounding area’s established character and charm. Developers and investors will find this a unique chance to create a high-end community in a sought-after location.
The planning application has been fully approved, detailing the design and scope for detached homes that will offer modern living in a tranquil yet well-connected setting. The development provides an exciting opportunity to deliver homes that will not only enhance the local area but also offer residents a premium lifestyle.
Positioned for maximum convenience, the site boasts excellent transport links, with easy access to the A38 and M1, providing swift connections to Nottingham, Derby, and the wider Midlands region. For everyday living, the area offers a wealth of local amenities, including highly regarded schools, Kings Mill Hospital, and a host of leisure and retail options. The nearby Kings Mill Reservoir offers a picturesque setting for outdoor activities, enhancing the overall appeal of the location.
This is a rare and exceptional opportunity to secure a development site in a highly sought-after and convenient location, with full planning permission in place for a scheme of true quality and lasting value.
Gross Development Value - Our helpful negotiators will be more than happy to discuss any potential income to be made on your purchase of this plot, with advise from our expert valuers.
Planning Refrence - Planning Reference: V/2025/0475
This exceptional plot of land comes with full planning permission for a luxury development of seven exclusive detached homes.
Property details
- Tenure
- Freehold
- Council Tax Band
- Ask Agent
- Date Posted
- 2026-04-18
Utilities & Restrictions
Utilities
- Electricity
- Ask Agent
- Water
- Ask Agent
- Heating
- Ask Agent
- Broadband
- Ask Agent
- Sewerage
- Ask Agent
Rights & Restrictions
- Public Rights of Way
- Ask Agent
- Private Rights of Way
- Ask Agent
- Listed Property
- Ask Agent
- Restrictions
- Ask Agent
Property Features
- Accessibility
- Ask Agent
- Parking
- Ask Agent
- Garden
- Ask Agent
Map Location
Important notice: Information, maps and tags on this page are supplied by the advertising agent or generated automatically. LandSale has not verified them. Relying on these details is at your own risk, always carry out independent checks before committing to a purchase.
LandSale full disclaimer
Marketing information only - not formal particulars. The details on this website are provided for general guidance and do not constitute an offer or contract. Neither LandSale nor the advertising estate/land agent accepts responsibility for any inaccuracy.
1. Source of information
- Agent-supplied content: Core description, asking price, tenure, measurements, photographs and planning history are uploaded by the appointed agent, who remains solely responsible for their accuracy.
- Automated tags & categorisation: Property type, land-use class, acreage bands and similar labels may be applied by machine-learning models. They are intended as a helpful guide only and may not reflect the property's legal status or permitted use.
- Third-party & enriched data layers: Maps, boundary outlines, planning designations, soil reports, broadband coverage and other environmental or location-based insights are licensed from external suppliers. Such data are supplied “as is", may be incomplete or out of date and are subject to change without notice.
2. Verification required
Prospective purchasers must verify critical matters, including but not limited to planning permission, title boundaries, public rights of way, environmental constraints, acreage, services, access and VAT status, through their own inspections, specialist surveys, legal advisers and the selling agent before relying on the information or entering into any contract.
3. No warranty or liability
LandSale gives no warranty, express or implied, as to the accuracy, completeness or fitness for any particular purpose of the information displayed. LandSale shall not be liable for any loss, damage, cost or expense arising directly or indirectly from any use of or reliance on such information, save where liability may not be excluded by law.
4. Updates & feedback
If you believe any detail on this listing is inaccurate, please let us know. We will investigate and, where appropriate, update the listing or notify the agent.
© LandSale | Version 1.2 - January 2026
Listing agent
BuckleyBrown, Mansfield
55-57 Leeming Street, Mansfield, Notts, NG18 1ND