Peterborough Road, Eye, Peterborough, Cambridgeshire, PE6
- Land size
- 1.43 acres
Description
PROPOSED DEVELOPMENT OPPORTUNITY – EYE
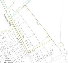
An exciting opportunity to acquire a substantial parcel of land extending to 1.43 acres (0.58 hectares) in the sought-after village of Eye, situated on Edgerley Drove, to the west of 65a, 65b, 65 and 67 Peterborough Road, Eye.
The Site
The land is generally level and comprises two separate parcels, which will require registration and title deeds to be drawn up in order to combine them as one single title.
Left-hand parcel – Former equestrian with agricultural buildings.
Right-hand parcel – Garden land, mainly laid to grass.
This versatile site offers potential for future development (subject to obtaining the necessary planning permissions).
Planning & Drawings
Drawings and plans have previously been prepared and are shown within the marketing photographs.
Please note:
Planning permission has not been granted. The drawings provided are for illustrative purposes only and represent an example of how the plot could be developed, subject to the appropriate consents.
Opportunity
Opportunities of this size and location rarely become available. With its generous acreage and established setting, the land offers significant potential for those seeking a development project in a desirable and well-connected area.
For further information please get in touch.
Property details
- Tenure
- Freehold
- Council Tax Band
- TBC
- Date Posted
- 2026-03-06
Utilities & Restrictions
Utilities
- Electricity
- Ask Agent
- Water
- Ask Agent
- Heating
- Ask Agent
- Broadband
- Ask Agent
- Sewerage
- Ask Agent
Rights & Restrictions
- Public Rights of Way
- Ask Agent
- Private Rights of Way
- Ask Agent
- Listed Property
- Ask Agent
- Restrictions
- Ask Agent
Property Features
- Accessibility
- Ask Agent
- Parking
- Ask Agent
- Garden
- Garden
Market Value Analysis
Based on properties with houses in East Anglia (1+ acres).
Important notice: Information, maps and tags on this page are supplied by the advertising agent or generated automatically. LandSale has not verified them. Relying on these details is at your own risk, always carry out independent checks before committing to a purchase.
LandSale full disclaimer
Marketing information only - not formal particulars. The details on this website are provided for general guidance and do not constitute an offer or contract. Neither LandSale nor the advertising estate/land agent accepts responsibility for any inaccuracy.
1. Source of information
- Agent-supplied content: Core description, asking price, tenure, measurements, photographs and planning history are uploaded by the appointed agent, who remains solely responsible for their accuracy.
- Automated tags & categorisation: Property type, land-use class, acreage bands and similar labels may be applied by machine-learning models. They are intended as a helpful guide only and may not reflect the property's legal status or permitted use.
- Third-party & enriched data layers: Maps, boundary outlines, planning designations, soil reports, broadband coverage and other environmental or location-based insights are licensed from external suppliers. Such data are supplied “as is", may be incomplete or out of date and are subject to change without notice.
2. Verification required
Prospective purchasers must verify critical matters, including but not limited to planning permission, title boundaries, public rights of way, environmental constraints, acreage, services, access and VAT status, through their own inspections, specialist surveys, legal advisers and the selling agent before relying on the information or entering into any contract.
3. No warranty or liability
LandSale gives no warranty, express or implied, as to the accuracy, completeness or fitness for any particular purpose of the information displayed. LandSale shall not be liable for any loss, damage, cost or expense arising directly or indirectly from any use of or reliance on such information, save where liability may not be excluded by law.
4. Updates & feedback
If you believe any detail on this listing is inaccurate, please let us know. We will investigate and, where appropriate, update the listing or notify the agent.
© LandSale | Version 1.2 - January 2026
Listing agent
Edward Stuart Estate Agents, Peterborough
Office 34 4-5 Pinnacle House Peterborough PE1 5YD
Contact Edward Stuart Estate Agents, Peterborough
Office 34 4-5 Pinnacle House Peterborough PE1 5YD
View agent profile