Blacksmith Close IP29 4QN, Lawshall, Bury St. Edmunds
- Land size
- 0.33 acres
Key Features
- Approximately 1/3 acre plot (STS)
- Backing onto paddock land
- Occupying a popular village location
- Electricity and drainage connected
- Foundations, blockwork to ground level completed
Description
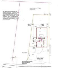
An excellent opportunity has arisen to purchase a generous building plot of approximately one-third of an acre(STS), with full planning approval (Ref: DC/24/00081) granted on 10 May 2024.
The approved plans allow for the construction of an attractive two-storey barn-style dwelling of around 1,900 sq. ft., featuring a slate roof and a stylish combination of zinc profiled sheet cladding and cream/grey stock brickwork, complemented by dark grey joinery.
Significant groundwork has already been completed, including foundations, blockwork to ground level, and the installation of main services.
Enjoying a delightful semi-rural setting and backing onto a paddock, the plot offers both tranquillity and convenience within easy reach of all village amenities in the desirable community of Lawshall, just a short drive from Bury St Edmunds and Sudbury.
and DC/20/03245
Occupying an excellent position close to the heart of the village, this attractive plot benefits from a superb setting within easy reach of open countryside. The main infrastructure is already in place, including electricity and mains drainage, offering a convenient starting point for development.
Lawshall is a charming village with a strong sense of community. The area features a variety of character properties, many of which are period homes or individually designed residences. Located approximately 6 miles from the historic market town of Bury St Edmunds and around 9 miles north of Sudbury, Lawshall offers a range of local amenities including a pre-school, primary school, church, public house, community centre, and recreation ground.
Agents Note: Community Infrastructure Levy (CIL) payments will apply. For further information, please contact the selling agent.
Directions. Lawshall can be reached from various directions and all roads lead into the village centre. The plots are located on Bury Road which is the road that comes into the village from Hawstead.
Reception Hall -
Study - 4.5 x 3.3 (14'9" x 10'9") -
Living /Kitchen Are - 6.9 x 6.6 (22'7" x 21'7") -
Utility/Store - 4.9 x 2 (16'0" x 6'6") -
First Floor -
Master Bedroom - 4.5 x 3.3 (14'9" x 10'9") -
Dressing Area - 2.4 x 1.9 (7'10" x 6'2") -
Ensuite - 3.2 x 2 (10'5" x 6'6") -
Bedroom 2 - 3.75 x 3.6 (12'3" x 11'9") -
Bedroom 3 - 4 x 2.7 (13'1" x 8'10") -
Bathroom - 2.8 x 2 (9'2" x 6'6") -
Desirable building plot in a pleasant village setting
Map Location
Property details
- Tenure
- Freehold
- Council Tax Band
- Ask Agent
- Date Posted
- 2026-03-06
Utilities & Restrictions
Utilities
- Electricity
- Ask Agent
- Water
- Ask Agent
- Heating
- Ask Agent
- Broadband
- Ask Agent
- Sewerage
- Ask Agent
Rights & Restrictions
- Public Rights of Way
- Ask Agent
- Private Rights of Way
- Ask Agent
- Listed Property
- Ask Agent
- Restrictions
- Ask Agent
Property Features
- Accessibility
- Ask Agent
- Parking
- Ask Agent
- Garden
- Garden
Important notice: Information, maps and tags on this page are supplied by the advertising agent or generated automatically. LandSale has not verified them. Relying on these details is at your own risk, always carry out independent checks before committing to a purchase.
LandSale full disclaimer
Marketing information only - not formal particulars. The details on this website are provided for general guidance and do not constitute an offer or contract. Neither LandSale nor the advertising estate/land agent accepts responsibility for any inaccuracy.
1. Source of information
- Agent-supplied content: Core description, asking price, tenure, measurements, photographs and planning history are uploaded by the appointed agent, who remains solely responsible for their accuracy.
- Automated tags & categorisation: Property type, land-use class, acreage bands and similar labels may be applied by machine-learning models. They are intended as a helpful guide only and may not reflect the property's legal status or permitted use.
- Third-party & enriched data layers: Maps, boundary outlines, planning designations, soil reports, broadband coverage and other environmental or location-based insights are licensed from external suppliers. Such data are supplied “as is", may be incomplete or out of date and are subject to change without notice.
2. Verification required
Prospective purchasers must verify critical matters, including but not limited to planning permission, title boundaries, public rights of way, environmental constraints, acreage, services, access and VAT status, through their own inspections, specialist surveys, legal advisers and the selling agent before relying on the information or entering into any contract.
3. No warranty or liability
LandSale gives no warranty, express or implied, as to the accuracy, completeness or fitness for any particular purpose of the information displayed. LandSale shall not be liable for any loss, damage, cost or expense arising directly or indirectly from any use of or reliance on such information, save where liability may not be excluded by law.
4. Updates & feedback
If you believe any detail on this listing is inaccurate, please let us know. We will investigate and, where appropriate, update the listing or notify the agent.
© LandSale | Version 1.2 - January 2026
Listing agent
The Mortimer & Gausden Partnership, Bury St. Edmunds
7 Langton Place Hatter Street Bury St. Edmunds IP33 1NE
Contact The Mortimer & Gausden Partnership, Bury St. Edmunds
7 Langton Place Hatter Street Bury St. Edmunds IP33 1NE
View agent profile