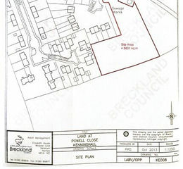
Land off Powell Close, Kenninghall, Norfolk NR16 2DZ
- Land size
- 1.4 acres
Key Features
- 1.4 acres of strategic land
- Allocated for 15 houses within the local plan
- Guide price: £80,000 - £100,000 plus VAT
- For sale by online livestream auction
- Unless withdrawn prior
- 10:00am - Wednesday, 25th March 2026
Description
FOR SALE BY LIVESTREAM ONLINE AUCTION - 10:00AM, WEDNESDAY 25th MARCH 2026
TO REGISTER FOR LEGAL PACK AND BIDDING INSTRUCTIONS PLEASE VISIT OUR WEBSITE
1.4 acres of strategic land allocated for housing within the local plan
This overgrown parcel of land extends to around 1.4 acres. It is located on the fringe of the village next to established residential properties and backing onto open farmland.
Under Breckland District Councils local plan this land has been allocated for 15 houses under the Kenninghall Housing Allocation reference LP(051)003 and LPRC4SDEV167. Indicative plans have been drawn up by an architect for housing on the site, subject to planning permission.
This favorable policy standing gives a developer / investor an exciting opportunity to secure residential consent giving significant potential for planning uplift.
The land is located between Attleborough and Diss.
Overage There will be a 30% overage clause applied to the land for 30 years, details of which will be in the online legal pack. Purchasers will need to make their own enquiries of the relevant authorities regarding any alternative use.
VAT Please note this lot is subject to VAT.
Viewing Any reasonable time during daylight hours. All persons viewing should be aware that they enter the site entirely at their own risk. Please would all interested parties register their interest with the Auctioneers in order that they may be kept up to date with any developments.
Tenure: Freehold
Administration Fee: £1200 inc VAT payable on exchange of contracts.
Buyer's Premium Fee: £960 inc VAT payable on exchange of contracts.
Disbursements: Please see the legal pack for any disbursements listed that may become payable by the purchaser on completion.
Property details
- Tenure
- Freehold
- Council Tax Band
- Ask Agent
- Date Posted
- 2026-02-25
Utilities & Restrictions
Utilities
- Electricity
- Ask Agent
- Water
- Ask Agent
- Heating
- Ask Agent
- Broadband
- Ask Agent
- Sewerage
- Ask Agent
Rights & Restrictions
- Public Rights of Way
- Ask Agent
- Private Rights of Way
- Ask Agent
- Listed Property
- Ask Agent
- Restrictions
- Ask Agent
Property Features
- Accessibility
- Ask Agent
- Parking
- Ask Agent
- Garden
- Ask Agent
Market Value Analysis
Based on land listings in East Anglia (1+ acres).
Important notice: Information, maps and tags on this page are supplied by the advertising agent or generated automatically. LandSale has not verified them. Relying on these details is at your own risk, always carry out independent checks before committing to a purchase.
LandSale full disclaimer
Marketing information only - not formal particulars. The details on this website are provided for general guidance and do not constitute an offer or contract. Neither LandSale nor the advertising estate/land agent accepts responsibility for any inaccuracy.
1. Source of information
- Agent-supplied content: Core description, asking price, tenure, measurements, photographs and planning history are uploaded by the appointed agent, who remains solely responsible for their accuracy.
- Automated tags & categorisation: Property type, land-use class, acreage bands and similar labels may be applied by machine-learning models. They are intended as a helpful guide only and may not reflect the property's legal status or permitted use.
- Third-party & enriched data layers: Maps, boundary outlines, planning designations, soil reports, broadband coverage and other environmental or location-based insights are licensed from external suppliers. Such data are supplied “as is", may be incomplete or out of date and are subject to change without notice.
2. Verification required
Prospective purchasers must verify critical matters, including but not limited to planning permission, title boundaries, public rights of way, environmental constraints, acreage, services, access and VAT status, through their own inspections, specialist surveys, legal advisers and the selling agent before relying on the information or entering into any contract.
3. No warranty or liability
LandSale gives no warranty, express or implied, as to the accuracy, completeness or fitness for any particular purpose of the information displayed. LandSale shall not be liable for any loss, damage, cost or expense arising directly or indirectly from any use of or reliance on such information, save where liability may not be excluded by law.
4. Updates & feedback
If you believe any detail on this listing is inaccurate, please let us know. We will investigate and, where appropriate, update the listing or notify the agent.
© LandSale | Version 1.2 - January 2026
Listing agent
Auction House, East Anglia
The Barn Newmarket Road Cringleford Norwich NR4 6UE
Enquire about this property
Contact Auction House, East Anglia
The Barn Newmarket Road Cringleford Norwich NR4 6UE
View agent profile