Building plot- Land-Site adjacent to Priddfaen Goch, Dan-y Coedcae Road, Graig, Pontypridd
Description
***BUILDING PLOT***
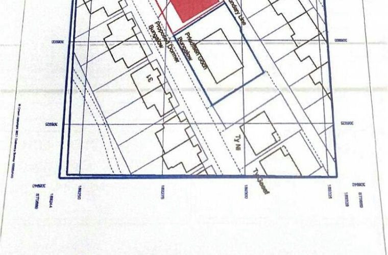
Proposed 3-4 Dormer Bungalow with double garage underneath. To the rear adjacent to Priddfaen Coch Bungalow Danycoed Road, Griag, Pontypridd
; Osborne Estates are pleased to offer for sale, this enclosed and clear plot of land with the benefit of outline planning permission. The site is located in Pontypridd Rhondda with good access to pontypridd town centre with railway station and road links to Cardiff . Unaccompanied viewing is not possible however anyone proposing to enter onto the site should contact our Tonypandy office first. GENERAL NOTES; Any information contained herein should be verified by prospective purchasers or their advisors prior to any formal commitment to purchase. The proceeds of crime act 2002 & anti money laundering rules 2007 require us to obtain both personal and residence identification from all purchasers where an offer has been made and accepted. Please arrange for the appropriate identification to be provided, when asked. The vendor has verbally informed us that the property is of freehold tenure although this should be confirmed by the acting solicitors. Prospective purchasers are also advised to satisfy themselves as to the location and availability of mains services.,
Image 2
Image 3
Image 4
Access
Image 2
Property details
- Tenure
- Ask Agent
- Council Tax Band
- Ask Agent
- Date Posted
- 2026-02-22
Energy Performance Certificate
View the official EPC certificate for detailed energy efficiency information.
Utilities & Restrictions
Utilities
- Electricity
- Ask Agent
- Water
- Ask Agent
- Heating
- Ask Agent
- Broadband
- Ask Agent
- Sewerage
- Ask Agent
Rights & Restrictions
- Public Rights of Way
- Ask Agent
- Private Rights of Way
- Ask Agent
- Listed Property
- Ask Agent
- Restrictions
- Ask Agent
Property Features
- Accessibility
- Ask Agent
- Parking
- Parking Available
- Garden
- Ask Agent
Important notice: Information, maps and tags on this page are supplied by the advertising agent or generated automatically. LandSale has not verified them. Relying on these details is at your own risk, always carry out independent checks before committing to a purchase.
LandSale full disclaimer
Marketing information only - not formal particulars. The details on this website are provided for general guidance and do not constitute an offer or contract. Neither LandSale nor the advertising estate/land agent accepts responsibility for any inaccuracy.
1. Source of information
- Agent-supplied content: Core description, asking price, tenure, measurements, photographs and planning history are uploaded by the appointed agent, who remains solely responsible for their accuracy.
- Automated tags & categorisation: Property type, land-use class, acreage bands and similar labels may be applied by machine-learning models. They are intended as a helpful guide only and may not reflect the property's legal status or permitted use.
- Third-party & enriched data layers: Maps, boundary outlines, planning designations, soil reports, broadband coverage and other environmental or location-based insights are licensed from external suppliers. Such data are supplied “as is", may be incomplete or out of date and are subject to change without notice.
2. Verification required
Prospective purchasers must verify critical matters, including but not limited to planning permission, title boundaries, public rights of way, environmental constraints, acreage, services, access and VAT status, through their own inspections, specialist surveys, legal advisers and the selling agent before relying on the information or entering into any contract.
3. No warranty or liability
LandSale gives no warranty, express or implied, as to the accuracy, completeness or fitness for any particular purpose of the information displayed. LandSale shall not be liable for any loss, damage, cost or expense arising directly or indirectly from any use of or reliance on such information, save where liability may not be excluded by law.
4. Updates & feedback
If you believe any detail on this listing is inaccurate, please let us know. We will investigate and, where appropriate, update the listing or notify the agent.
© LandSale | Version 1.2 - January 2026
Listing agent
Osborne Estates, Tonypandy
Unit 3, 97 Dunraven Street Tonypandy CF40 1AR
Enquire about this property
Contact Osborne Estates, Tonypandy
Unit 3, 97 Dunraven Street Tonypandy CF40 1AR
View agent profile