Friday Street, Eastbourne, East Sussex, BN23
- Bedrooms
- 3
Description
Rare opportunity to acquire a plot of land in Eastbourne with dual access via Fridays Street and Sorrel Drive. No current planning permission, but offering exciting future potential. *Guide price £50,000-£75,000* Ideal investment or landbanking opportunity.
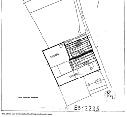
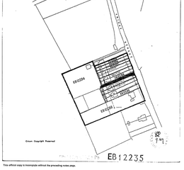
Approximate Measurements: 55 metres x 5.5 metres - areas of the land are difficult to access, so all measurements are to be taken as a guide.
Located in a convenient Eastbourne area, this intriguing plot of land accessed via dropped curb along Friday Street offers a blank canvas for the savvy investor or visionary buyer.
The site benefits from access at the front via Friday Street and stretches all the way to the back where Sorrel Drive is located, adding flexibility and long-term appeal. While the land currently has no planning permission, its position and possible dual access mean it could present an exciting opportunity for future development, subject to the necessary consents.
Offered at a guide price of £50,000 - £75,000, this is a chance to secure a low-entry investment with genuine upside potential.
Opportunities like this don't come along often-especially at this price point.
Early viewing and enquiries are highly recommended.
Contact Move Sussex today!
Photograph is from Google Earth and drawings not to scale.
Please use land registry or own measurements and observations for accuracy.
Property details
- Tenure
- Freehold
- Council Tax Band
- Ask Agent
- Date Posted
- 2026-02-11
Utilities & Restrictions
Utilities
- Electricity
- Ask Agent
- Water
- Ask Agent
- Heating
- Ask Agent
- Broadband
- Ask Agent
- Sewerage
- Ask Agent
Rights & Restrictions
- Public Rights of Way
- Ask Agent
- Private Rights of Way
- Ask Agent
- Listed Property
- Ask Agent
- Restrictions
- Ask Agent
Property Features
- Accessibility
- Ask Agent
- Parking
- Parking Available
- Garden
- Ask Agent
Map Location
Important notice: Information, maps and tags on this page are supplied by the advertising agent or generated automatically. LandSale has not verified them. Relying on these details is at your own risk, always carry out independent checks before committing to a purchase.
LandSale full disclaimer
Marketing information only - not formal particulars. The details on this website are provided for general guidance and do not constitute an offer or contract. Neither LandSale nor the advertising estate/land agent accepts responsibility for any inaccuracy.
1. Source of information
- Agent-supplied content: Core description, asking price, tenure, measurements, photographs and planning history are uploaded by the appointed agent, who remains solely responsible for their accuracy.
- Automated tags & categorisation: Property type, land-use class, acreage bands and similar labels may be applied by machine-learning models. They are intended as a helpful guide only and may not reflect the property's legal status or permitted use.
- Third-party & enriched data layers: Maps, boundary outlines, planning designations, soil reports, broadband coverage and other environmental or location-based insights are licensed from external suppliers. Such data are supplied “as is", may be incomplete or out of date and are subject to change without notice.
2. Verification required
Prospective purchasers must verify critical matters, including but not limited to planning permission, title boundaries, public rights of way, environmental constraints, acreage, services, access and VAT status, through their own inspections, specialist surveys, legal advisers and the selling agent before relying on the information or entering into any contract.
3. No warranty or liability
LandSale gives no warranty, express or implied, as to the accuracy, completeness or fitness for any particular purpose of the information displayed. LandSale shall not be liable for any loss, damage, cost or expense arising directly or indirectly from any use of or reliance on such information, save where liability may not be excluded by law.
4. Updates & feedback
If you believe any detail on this listing is inaccurate, please let us know. We will investigate and, where appropriate, update the listing or notify the agent.
© LandSale | Version 1.2 - January 2026
Listing agent
Move Sussex, Eastbourne
Eastbourne